علائم انحراف ستون فقرات

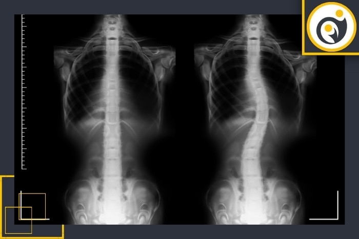
انحراف ستون فقرات یا اسکولیوز (Scoliosis) معمولاً در دوران رشد بهویژه در نوجوانان و جوانان ظاهر میشود و در صورت عدم تشخیص بهموقع ممکن است موجب درد، تغییر فرم بدن و محدودیت حرکتی گردد. شناخت علائم اولیه این عارضه به پیشگیری و درمان مؤثر آن کمک شایانی میکند. در ادامه علائم رایج این عارضه را بررسی میکنیم:
نکته مهم
علائم انحراف ستون فقرات در ابتدا ممکن است خفیف و بیدرد باشند اما تشخیص زودهنگام در کودکان و نوجوانان از پیشرفت آن جلوگیری میکند.
عدم تقارن شانهها
یکی از واضحترین علائم انحراف ستون فقرات نابرابری ارتفاع شانهها است. معمولاً یکی از شانهها بالاتر از دیگری قرار میگیرد. این نشانه بهویژه هنگام ایستادن یا نگاه کردن از پشت به فرد بهخوبی دیده میشود.بیرونزدگی استخوان کتف
در اسکولیوز چرخش مهرهها باعث میشود یک سمت از کتف (استخوان شانه) برجستهتر از سمت دیگر شود. این برجستگی اغلب اولین علامتی است که والدین در فرزندشان متوجه میشوند.تغییر فرم بدن و حالت ایستادن
افراد مبتلا معمولاً هنگام ایستادن یا راه رفتن بدن را کمی به یک سمت خم میکنند. ممکن است قوس غیرطبیعی در پشت یا پهلوها مشاهده شود. گاهی نیز شانه یا باسن بهصورت نامتقارن قرار میگیرد.تفاوت در طول پاها یا کج بودن لگن
اگر لگن به یک سمت متمایل باشد ممکن است یکی از پاها کوتاهتر یا بلندتر به نظر برسد. این وضعیت میتواند باعث اختلال در تعادل بدن و تغییر در نحوهی راه رفتن شود.درد در ناحیه کمر، پشت یا گردن
درد ممکن است در مراحل ابتدایی خفیف باشد اما در صورت پیشرفت انحراف شدت آن افزایش مییابد. علت درد معمولاً فشار نامتعادل بر عضلات و مهرههاست.خستگی زودهنگام عضلات پشت
به دلیل قرارگیری غیرطبیعی ستون فقرات عضلات یک طرف بدن مجبورند فشار بیشتری تحمل کنند و در نتیجه فرد سریعتر احساس خستگی میکند.تغییر در نحوهی تنفس (در موارد شدید)
در اسکولیوزهای شدید قوس ستون فقرات ممکن است به قفسه سینه فشار بیاورد و فضای ریهها را کاهش دهد در نتیجه بیمار دچار تنگی نفس خواهد شد.ظاهر غیرقرینه در پشت هنگام خم شدن
در هنگام خم شدن به جلو (تست آدامز - Adams Forward Bend Test) ممکن است برآمدگی یا برجستگی در یک سمت پشت دیده شود. این نشانه یکی از مهمترین علائم برای غربالگری در مدارس و کلینیکهاست.تغییرات در وضعیت لباسها
افراد مبتلا ممکن است متوجه شوند لباسهایشان به درستی روی بدن نمینشیند؛ مثلاً خط وسط لباس یا کمربند کج به نظر میرسد.سردرد و درد گردن در موارد انحراف گردنی
در انحراف ستون فقرات ناحیه گردن (Cervical Scoliosis) ممکن است بیمار دچار دردهای مکرر گردن، شانه یا حتی سردرد شود.نکته مهم
علائم انحراف ستون فقرات در ابتدا ممکن است خفیف و بیدرد باشند اما تشخیص زودهنگام در کودکان و نوجوانان از پیشرفت آن جلوگیری میکند.







